Giá mua bán đất nền kdc Tái Định Cư Phú Mỹ phường Tân Mỹ T4/2026

Lưu Chí Hiếu, Social Housing Resettlement, Tân Phú, Phường Phú Mỹ, Ho Chi Minh City, 78706, Vietnam
13,800 tỷ

Sự miêu tả

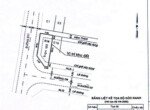
Diện tích đất nền bán 7 x 18 = 113,5m2, vạt góc.

Vị trí lô góc hai mặt đường, lộ giới 14m và 12m.

Vị trí đắc địa, phù hợp kinh doanh, xây dựng tòa nhà văn phòng, khách sạn, khu dân cư đông đúc, ổn định.

Pháp lý sổ đỏ thổ cư.

Giá bán 13,8 tỷ.

Liên hệ 0938246348 gặp Lợi.

Trân trọng.

Địa chỉ nhà

  • Địa chỉ nhà: Lưu Chí Hiếu, Social Housing Resettlement, Tân Phú, Phường Phú Mỹ, Ho Chi Minh City, 78706, Vietnam
  • Tiểu bang / quận: TP Hồ Chí Minh
  • Quốc gia: Việt Nam

Chi tiết

Đã cập nhật vào Tháng 4 21, 2026 tại 10:39 sáng

  • Giá bán: 13,800 tỷ
  • Kích thước tài sản: 113 M²
  • Diện tích đất: 2 M²
  • Loại bất động sản: Đất Nền
  • Tình Trạng Tài Sản: Bất động sản Bán

Thông tin liên lạc

Phú Lợi
Phú Lợi
0938246348

Enquire about this property

Thuộc tính tương tự

Giường: 1Bồn tắm: 1M²: 45

Căn Hộ

1 năm trước

1,920 Tỷ

Giường: 1Bồn tắm: 1M²: 45

Căn Hộ

1 năm trước

M²: 133

Nhà Mặt Phố

3 năm trước

16,200 tỷ

M²: 133

Nhà Mặt Phố

3 năm trước

Mua bán nhà kdc Phú Mỹ Quận 7, T12/2022

Công viên KDC Belleza, Phú Mỹ, Phu My Ward, District 7, Ho Chi Minh City, Vietnam

Giường: 4Phòng tắm: 4M²: 90

Nhà Mặt Phố

3 năm trước

14,500 tỷ

Giường: 4Phòng tắm: 4M²: 90

Nhà Mặt Phố

3 năm trước